Hírek
2013. Április 11. 09:31, csütörtök |
Helyi
Forrás: Baranya Megyei Rendőr-főkapitányság
Vezetni biztonsággal
Az első fordulóval beindul a Pécs Városi Baleset-megelőzési Bizottság és a Pécs-Baranya Közbiztonsági Alapítvány „Vezetni Biztonsággal” négy fordulós vetélkedősorozata.

A vetélkedő lényege, a közlekedők figyelmét ráirányítsa a balesetek kiszámíthatatlanságára, a baleseti okokra.
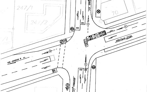
Minden forduló egy baleseti szituációt jelenít meg. A vetélkedőben részt vevő személy feladata a felvázolt közlekedési szituációk értelmezését követően válaszolni a feltett kérdésekre.
A fordulók végén a helyes megfejtők között három - három ajándékcsomagot sorsolunk ki. Aki mind a négy fordulóra beküldi a helyes megfejtést, azok között is kisorsolunk három értékes ajándékcsomagot.
„A” személygépkocsi közlekedett Pécsett a Megyeri úton, a Verseny utca irányából a József Attila út irányába. Haladása során a Mártírok úti kereszteződésbe behajtva a gépkocsi elejével nekiütközött a tőle jobbról érkező, a Mártírok útján a Dr. Veress E. u. irányába közlekedő Busz elejének.

Ki volt és milyen szabályt hagyott figyelmen kívül a baleset okozója?
A balesettel érintett járművezetőnek milyen kötelezettségei vannak?
A válaszokat kérjük 2013. április 18. (csütörtök) 12,00 óráig beküldeni a Pécs Városi Baleset-megelőzési Bizottság címére: 7622 Pécs, Vargha D. u. 3., vagy a gradvolts@baranya.police.hu címre. A megfejtésen kérjük feltüntetni: „Vezetni biztonsággal” I. forduló.
Ezek érdekelhetnek még
2026. Március 03. 09:00, kedd | Helyi
Pálinka- és Borversenyt tartottak Nakon
Nak Község Önkormányzata az idei évben is megszervezte a hagyományossá vált pálinkaversenyét. Pár év kihagyás után pedig borversenyt is tartottak a településen.
2026. Március 02. 15:30, hétfő | Helyi
Teljeskörűen felújítják a dombóvári rendelőintézetet
Teljeskörűen felújítják a dombóvári Szent Lukács Kórházhoz tartozó rendelőintézetet, és elkezdődik az új mentőállomás építése a városban
2026. Február 26. 09:25, csütörtök | Helyi
Miért vannak háborúk? - interaktív előadás a Dombóvári Művelődési Házban
Mit tehetünk a békéért? Milyen az igazi béke? Február 27-én, pénteken 18 órától ezekre a kérdésekre keresik a választ a Pinceszínházban.
2026. Február 17. 20:43, kedd | Helyi
Új emlőszűrő állomás Tolna vármegyében, Tamásiban
Elsősorban a Tamási és a Dombóvári járásban élő hölgyeknek jó hír, hogy 2026. február 18-tól fogadja az emlőszűrésre jelentkezőket a Tamási Rendelőintézetben telepített mammográfiás szűrőállomás.

